Actualités
7 Novembre 2022 – Suite FOIRE AUX POMMES
C’est avec plaisir que nous avons échangé avec vous ce weekend.
Merci d’avoir été si nombreux à nous rendre visite à Mont prés Chambord
05-06 Novembre 2022 – Foire à Mont prés Chambord
Nous vous attendons à la foire aux pommes à Mont prés Chambord, les samedi 5 et dimanche 6 novembre à partir de 9h00.
Venez découvrir nos nouveaux habillages et notre nouvelle cuvée « VAL CAUROIS » en dégustation sur place
Au plaisir de vous rencontrer prochainement, Eric et Maryse
Octobre 2022 – Couleurs d’automne
Quand la nature revêt ses plus belles couleurs
01 septembre 2022 – Nous vendangeons…
Nous avons commencé les vendanges le 25 août et ce n’est pas fini !
Ca Coupe, coupe, coupe, à vos sécateurs….
Qu’il soit noir ou blanc le raisin est beau et bon.
RDV dans 3 à 4 ans pour déguster les cuvées 2022.
30 juillet – La véraison
La véraison est en cours bien que bloquée par les fortes chaleurs et le manque de pluie. Le grain gonfle et prend de la couleur.
L’exposition au soleil de certaines baies favorise la sècheresse des grains.
02 juin – Paysage Aubois
Quelle est belle notre campagne Champenoise !
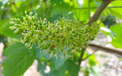
30 mai – La fleur de vigne
La floraison a débuté, sentez-vous cette douce odeur, légère et subtil qui embaume les vignes ?
Cette année encore, selon la météo des prochains mois, les vendanges devraient débuter deuxième quinzaine d’août !
Avril – Assemblage des vins
Après dégustation de chaque cuve, nous avons fait l’assemblage des vins pour le tirage du mois de mai.
23 mars 2022 – Pause déjeuner dans les vignes
Journée « non-stop » sous le soleil de mars
23 mars 2022 – Un temps à répandre l’engrais !
Eric et l’équipe profite du beau temps pour répandre l’engrais









